Norte, Valle Sanchez

U$S 40

R$ ~214 / U$S 0/m2

Banheiros

1

M² construído

4340

Tipo de propriedade

Terra

mais do que

7 anos

Visualizações

6735

Terrenos En Valle Sanchez


TERRENOS EN ZONA NORTE VALLE SANCHEZ


- Zona Urbanizada con todos los servicios básicos.


- Zona bastante poblada y en desarrollo continuo.


- Zona especial para inversión, con plusvalía a corto plazo


- Con papeles totalmente al día


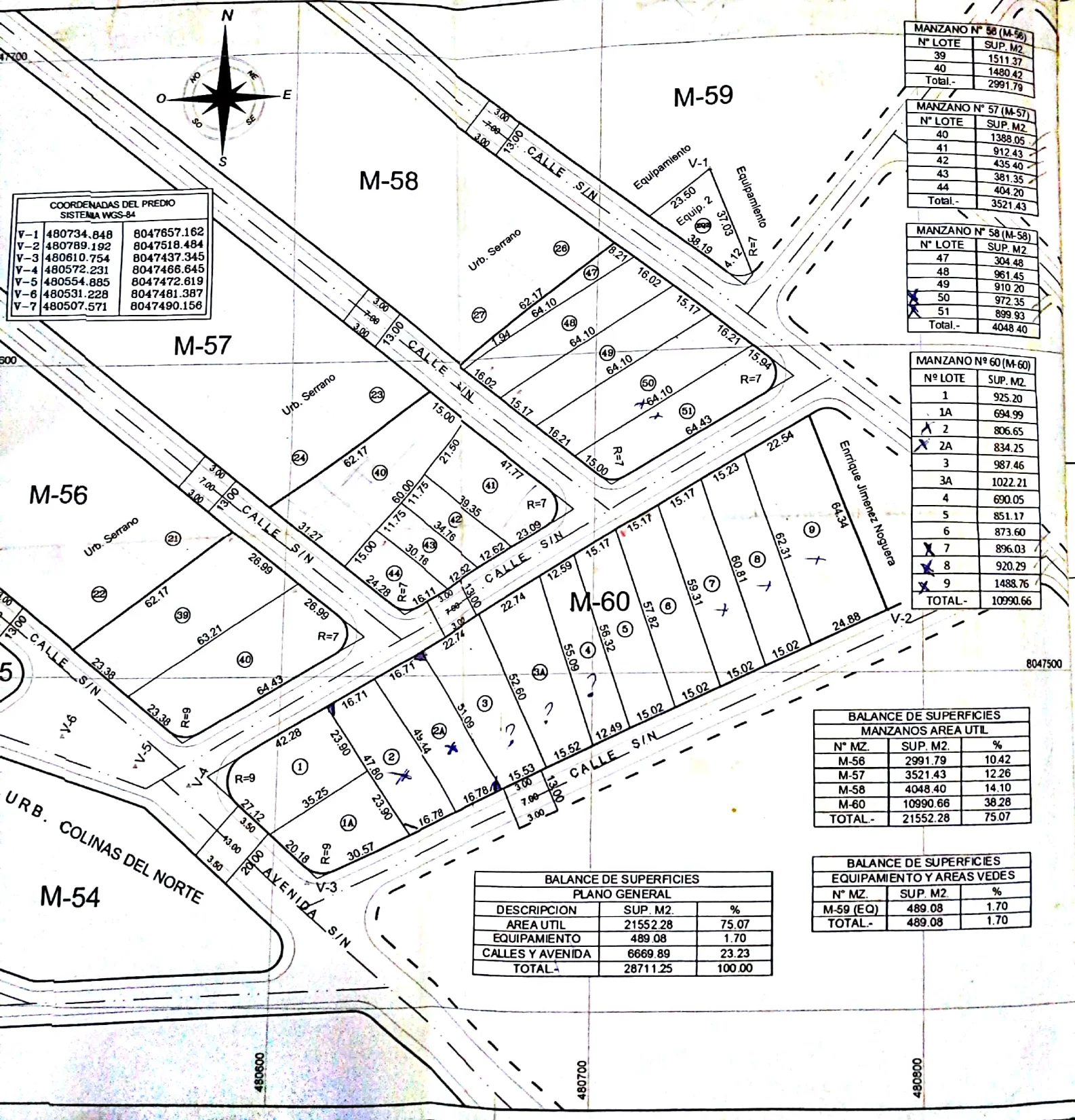
Tamaño: Manzano N° 60, Lote N° 2, Sup. 806.65 mts2


Manzano N° 60, Lote N° 2 A, Sup. 834.25 mts2


Manzano N° 60, Lote N° 3, Sup. 987.46 mts2


Manzano N° 60, Lote N° 3 A, Sup. 1022.21 mts2


Manzano N° 60, Lote N° 4, Sup. 690.05 mts2


Total lotes M. 60 4.340,62 mts2


Tamaño: Manzano N° 58, Lote N° 50, Sup. 972.35 mts2


Manzano N° 58, Lote N° 51, Sup. 899.93 mts2


Total lotes M. 58 1.872.28 mts2


Se venden juntos o por separado.


Precio: $us 40 mt2


Cel. 79879004.


Elizabet Delfino


INMOPLUS


Detalhes da propriedade

ID

Tipo de propriedade

Tipo de operação

M² construído

141252

Terra

Oferta

4340

M² da terra

Banheiros

Referência

Atualizada

4340002

1

7693D

2022-08-19

Localização

40 U$S

Localização

Santa Cruz

Endereço

Norte, Valle Sanchez

Ações Adicionais

Inmoplus
798...004
591...004
Objeto similar
Carregando...
Ganhe dinheiro indicando colegas!

Convide outros corretores de imóveis e ganhe 10% de comissão por cada promoção que fizerem.